Ordinances_1981_O-0057
- Name
- Ordinances_1981_O-0057
- BoxID
- Ordinances_1981_BOX_17
- Date
- 6/19/2025
- Modified By
- pcreedon@cambridgema.gov
- Date Created
- 9/28/1981
- Category
- Ordinances
- Keywords
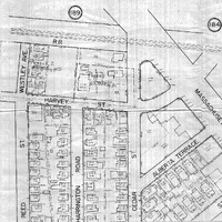
- Petition of City Council to rezone the area by Cedar, Harvey and Westley Ave.
- Year
- 1981
- DocID
- O-0052

